Jump to content

Need Help Creating Cross Sections In Civil 3d


Recommended Posts

Posted

Currently using Autocad C3D 2023, I need some help creating cross sections. I work in the civil construction/highway construction industry. I am a surveyor and have to plot cross sections on many occasions, comparing different plan models with some asbuilt models, and also displaying 3d objects along with the cross sections. The main issue I have is with scaling, labeling, and plotting to a pdf, and also creating sheets. Looking for someone who can possibly work with me video conferencing preferably. I've tried via, email, and it is almost impossible.

 

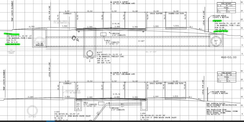
Attached is a typical cross section example. Its busier than what I usually have to create, but you get the idea.

2024-02-09 08_05_13-BS2 - Cross Sections - Bluebeam Revu x64.jpg

Posted

Does the company who supplied the CIV3D not do training ? The other way to go is to get some one to do a series of screen grabs in correct sequence and paste into say Word then you have a "how to".

 

A side comment the addition of the drainage if done often, a lisp could help add pit blocks then join with pipe etc. Taking into account Invert & surface Rl's, plus vertical scale factor.

 

I know Civil Site Design an add on for CIV3D is much easier when it comes to plotting etc and does support a block at a point on the cross sections. produces layouts with cross sections.

Join the conversation

You can post now and register later. If you have an account, sign in now to post with your account.
Note: Your post will require moderator approval before it will be visible.

Guest
Unfortunately, your content contains terms that we do not allow. Please edit your content to remove the highlighted words below.
Reply to this topic...

×   Pasted as rich text.   Restore formatting

  Only 75 emoji are allowed.

×   Your link has been automatically embedded.   Display as a link instead

×   Your previous content has been restored.   Clear editor

×   You cannot paste images directly. Upload or insert images from URL.

×
×
  • Create New...