Search the Community
Showing results for tags 'autocad lt'.
-
detached XREF layers keep crashing drawing
DIFOULD posted a topic in AutoCAD Bugs, Error Messages & Quirks
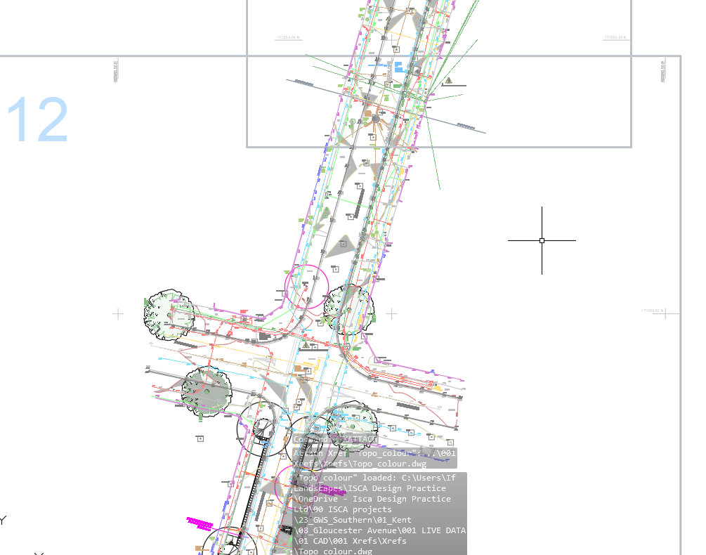
HI there, Am working on an AutoCAD LT drawing with several XREFs. I have been hatching some small areas and, last click of the day (isn't is always) one of the hatched areas appeared to leave the defined boundary and created a new hatch ALL OVER the main drawing, referncing multiple areas on the top survye XREF below - not just one area, but hundreds of them - all the way down the length of the Road. Every time i click on these hatches the whole drawing freezes and crashes. When the freeze stops after a few minutes, you can see that it has selected the entire xref layer - all of the lines and grips from the xref have been selected. Even though it's detached. And i mean ALL the lines and grips - not just those that seemt o be associate with the weird hatching. I have detached the xref, hoping that they would disappear, but they remain on the main drawing (all of the x ref lines disappear, but the hatches remain visisble. What's also strange is that the main drawing still displays the 'xref' layer i had used - but whe i go to 'laydel' list to try and remove it all completely fromt he drawing, that layer is missing from the list. If i reattch the survey - it appears in the 'laydel' list again. Have uploaded four images here - one with the xref attached, one with it detached (you can see all the grey hatch shaps more easily, scattered along the road length) and one image showing the layer XREF1 which held the xref, and then the laydel options where that layer is just missing - at the same time it is in use on the drawing. Then the last image shows all the lines and grips selected after the few minutes wait, when i have clicked on the hatched area and it has frozen - even though that XREF is detached (so not there, right?). How is the main drawing still referencing those xref lines even though it's not there? And on a layer i can't delete? How do i fix!? Hope this all makes sense...- 1 reply
-
- autocad lt
- xref
-
(and 1 more)
Tagged with:
-
We would like to buy two new licenses of AutoCAD LT. In Autodesk website, they are advertising the Pay-as-you-go license which seems to be a pretty good deal ($360 per year or $45 per month). What do you think about purchasing this instead of perpetual license? what are pros and cons? Do you recommend it?
- 13 replies
-
- autocad lt
- desktop subscription
-
(and 1 more)
Tagged with:
-
For some reason parts of my PDF underlay, certain walls and such on a building I'n working on, won't show up. The project is not worth the time to redraw and should be something simple for me to slap over the underlay. I'm not sure if I'm doing something wrong, I've tried my regular troubleshooting methods. As soon as I click on PDF underlay and select this PDF, I can already see in the preview before I click "ok" that some things are missing. Any help would be appreciated as I just want this to be a quick job. Thanks!
- 1 reply
-
- autocad lt
-
(and 1 more)
Tagged with:
-
I'm using the Japanese version of AutoCAD LT 2008 and when I use Dtext only Japanese characters display. If I open a new file I can type in English but not in the file my workmate gave me. I paste in English text he wrote (e.g. R0 S0 T0) but I can't paste text from anywhere else. If I type in English nothing shows on screen but when I Ctrl+a, Ctrl+v here it shows what I've typed, but without entering any Japanese text the box will disappear when I double-tap Enter. I'm still new to AutoCAD but I have checked that QTEXTMODE = 0. Any ideas other than starting in a new sheet?
- 8 replies
-
- character display
- autocad lt
-
(and 2 more)
Tagged with:
-
Objects missing in paper space tabs
BudRPerry posted a topic in AutoCAD Bugs, Error Messages & Quirks
We have recently upgraded to 2014. Some of our plans created in 2011, when opened in 2014 have most of the objects missing in the paperspace tabs. This includes lines, polylines, blocks, ole objects, jpgs, and plain text. These are not xref'd items. A few members of our staff have LT 2014 and have opened these same drawings with the same error. We can recover using 2011, but if we recover the drawings in 2014 it won't allow us to save! Been searching the forums and net but can't find this exact problem. It's very frustrating!- 14 replies
-
- missing objects
- autocad lt
-
(and 2 more)
Tagged with:
-
Hi, For my work i am now responsible for the drawings. Six months ago, i never had worked in a drawing programm. Now i have followed Autocad-lessons for four days. It is less, but for the most things i can help myself. Ik work with Autocad LT 2012 For the drawings that i have to make for my work, is the most possible for me. I only have one big problem. On some of our parts there is a inner and/or outer screwthread. Ik have tried some times to draw this, but not with succes. I have searched out this on Google, but i didn't find a good answer. The only thing i find, is that this is possible with Inventor en with Autocad mechanical. The problem here is that we don't have the inventor or the mechanical. Is there a possibility to draw screwthread with Autocad LT? If not, how do you draw the screwthreads? Thank you very much in advance, Best regards, Kevin Crombez.
- 14 replies
-
- screwthreat
- screw
-
(and 3 more)
Tagged with:
-
inserting a JPEG into my autoCAD LT drawing, and PDF it
matt lyons posted a topic in AutoCAD Drawing Management & Output
Hi, I am using AutoCAD LT 2009, and am having some problems. I want to have some jpeg images on my cad drawing, so i just insert the image, which is fine. I can print this fine, and allis good. however,when i go to PDF the drawings, using a standard downloadable DWG - PDF convertor, the jpegs dissapear. everything else is fine, but the jpegs are no longer on the PDF'ed drawing. can anyone help? thanks, Matt- 5 replies
-
- insert jpeg
- autocad lt
-
(and 1 more)
Tagged with:
-
I work at a sheet metal fabricating shop and we get files from clients using Inventor. I have to take their dwg's program them for our laser machine or waterjet, or plasma cutter. I am using Autocad LT 2011. we use Fabriwin to actually program the machines. Ok back to what i'm looking for. I need to know what is the cheapest way to open, view and get dimensions from Inventor type dwg's. Thanks
-
I am currently using AutoCAD LT, and I have been racking my brain trying to figure out how to create a table using a simple script. Is this even possible with LT, and if so, does anyone have any helpful advice?
- 5 replies
-
- script
- create table
-
(and 2 more)
Tagged with:
-
I'm about to buy a new AutoCad version. I only do 2D drawing and LT seems best for me. However, I must be able to export to eps without fuss like I can do in my current AutoCad. Feedback is welcome before I part with my cash.
- 4 replies
-
- eps
- autocad lt
-
(and 1 more)
Tagged with:
-
Plot multiple layers via script
pharrold posted a topic in The CUI, Hatches, Linetypes, Scripts & Macros
Hi, I have a script that will plot layers automatically without me going into layer manager and changing them and then clicking plot. The drawings i will be working with are electrical, they have many layers in one drawing. the layers are not sequentially numbered so makes the script harder to produce. In theory i wanted a vB program were i have check boxes of the layeers and then the layers checked are pasted into the script. Has anyone got any ideas? the script is as follows:
